





Kroatien, Dalmatien Inseln, Brac - Neubau Wohnungen Haus, zum Verkauf
ID: 3657/30Grundinformation
Wohnfläche:68 m2
Schlafzimmer:3
Badezimmer:2
Etagen:3
Meeresentfernung:500 m
Immobilienvorteile
- Meerblick
Annehmlichkeiten
- Garage
Über die Immobilie
Das Gebäude besteht aus zwei Teilen besteht, wurde im Stil der Insel erbaut wurde.
Die Fassade des Gebäudes ist in hellen Farben mit Elementen aus Natursteinen gemalt.
Im Erdgeschoss befinden sich Garagen und auf anderen Etagen komfortabel eingerichteten Apartments von 37 bis 70 m2, alle mit Balkon oder Terrasse.
Price list – Apartments
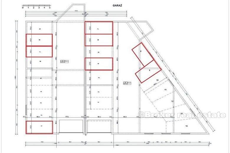
| Num | Area m2 | Num. of rooms | Price m2 | Vrijednost | Side | |
| Ground Floor | ||||||
| ST.2 | 38,74 | 2S+kitchen | 1.900,00 € | 73.606,00 € | North-west | |
| I Floor | ||||||
| ST.5R | 45,77 | 2S+kitchen | 1.900,00 € | 86.963,00 € | North | |
| ST.6 | 44,97 | 2S+kitchen | 1.900,00 € | 85.443,00 € | North-west | |
| II Floor | ||||||
| ST.9 | 45,67 | 2S+kitchen | 1.900,00 € | 86.773,00 € | North | |
| ST.10 | 44,82 | 2S+kitchen | 1.900,00 € | 85.158,00 € | North-west | |
R – reserved
| Num | Area m2 | Num. of rooms | Price m2 | Price | Side | |
| Ground Floor | ||||||
| ST.1R | 51,21 | 3S+kitchen | 2.000,00 € | 102.420,00 € | North-east | |
| ST.2 | 40,24 | S+kitchen | 1.900,00 € | 76.456,00 € | North | |
| ST.3 R | 40,42 | S+kitchen | 1.900,00 € | 76.798,00 € | South | |
| ST.5 R | 67,56 | 3S+kitchen | 2.000,00 € | 135.120,00 € | North-east | |
| I Floor | ||||||
| ST.6 | 58 | 3S+kitchen | 1.900,00 € | 110.200,00 € | North-east | |
| ST.7 | 40,42 | S+kitchen | 1.900,00 € | 76.798,00 € | North | |
| ST.8 | 40,36 | S+kitchen | 2.000,00 € | 80.720,00 € | South | |
R – reserved
Price list – Garages
| Num | Area m2 | Price | ||||
| P1 | 10,87 | 9.500,00 € | ||||
| P7 | 10,85 | 9.500,00 € | ||||
| P8 | 10,96 | 9.500,00 € | ||||
| Num | Area m2 | Price | ||||
| P4 | 10,5 | 9.500,00 € | ||||
| P6 | 10,54 | 9.500,00 € | ||||
| P7 | 10,45 | 9.500,00 € | ||||
| P8 | 10,45 | 9.500,00 € | ||||
| P9 | 10,45 | 9.500,00 € | ||||
Standort
Brac, Dalmatien Inseln
Brač ist mit einer Fläche von 396 Quadratkilometern die größte Insel Dalmatiens und die drittgrößte Insel der Adria insgesamt. Brač hat eine lange und gefaltete Küste mit zahlreichen kleineren und größeren Buchten. Besonders hervorzuheben sind die Naturhäfen Supetar, Splitska, Pučišća sowie Povlja, Sumartin, Milna und Bobovišća.
Suchen Sie etwas anderes?






